خليج سانت لورنس

Coordinates: 48°36′N 61°24′W / 48.600°N 61.400°W / 48.600; -61.400
خليج سانت لورنس
خليج سانت لورنس
فرنسية: Golfe du Saint-Laurent
Gulf of St. Lawrence Error {{native name checker}}: parameter value is malformed (help)
Baie de la Tour.jpg
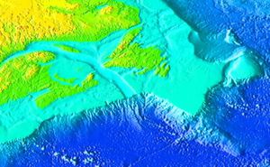
Bathymetry of the Gulf of St. Lawrence
Bathymetry of the Gulf of St. Lawrence
الإحداثيات48°36′N 61°24′W / 48.600°N 61.400°W / 48.600; -61.400
النوعخليج
بلدان الحوضCanada
Saint Pierre and Miquelon (France)
مساحة السطح226000 كم²[1]
متوسط العمق152 متر
حجم المياه34500 كم³

خليج سانت لورنس Gulf of Saint Lawrence لسانٌ عميق من المحيط الأطلسي، وهو أكبر خليج على ساحل أمريكا الشمالية فيما عدا خليج المكسيك. خليج سانت لورنس يحدُه جزئياً نيو فاوندلاند من الشرق، ونوڤا سكوتشيا من الجنوب. كما أنه يغمر شواطئ كويبك الشرقية. والخليج مصبٌ لنهر سانت لورنس والبحيرات العظمى. وهي الممرَّات البحرية الرئيسية للتجارة بالنسبة لكندا وشمالي الولايات المتحدة. ومنذ افتتاح طريق سانت لورنس البحري، بعد تعميقه في عام 1959، أصبحت السفن الكبيرة العابرة للمحيطات قادرة على الإبحار من خليج سانت لورنس إلى أبعد أطراف البحيرات العظمى. والواقع أن طريق سانت لورنْس البحري يجعل من الخليج مدخلاً للتجارة الداخلية العابرة للأطلسي في أمريكا الشمالية. يدخل الخليج إلى المحيط الأطلسي عن طريق قناتين. ويمتد مضيق كابوت، وهو الأكبر، لأكثر من 95 كم بين كيپ بريتون ونيو فاوندلاند. أما مضيق بل آيل، فإنه يقع بين لبرادور ونيو فاوندلاند.

الجغرافيا

تقطع كابلات الاتصالات خليج سانت لورنس، كما أن العديد من البواخر تبحر بين كويبك والمناطق الأطلسية. والواقع أن مستويات المدَّ منخفضة لكنَّ التيارات المتقلبة، والضباب الكثيف، والثلوج الطافية، غالباً ما تجعل الإبحار خطراً. وتقع جزر الأمير إدوارد في الطَّرف الجنوبي للخليج. كما تقع جزيرة أنتيكوستي بالقرب من مصب نهر سانت لورنس. وتقع جزر أصغر في الجزء الجنوبي من الخليج على امتداد الشطآن الشمالية.

تضاريس القاع

Bathymetry of the gulf, with the Laurentian Channel visible


التاريخ

The gulf has provided a historically important marine fishery for various First Nations that have lived on its shores for millennia and used its waters for transportation.

قام جاك كارتييه باكتشاف كلٍّ من خليج سانت لورنس ونهر سانت لورنس. وفي رحلته الثانية، في يوم 10 أغسطس سنة 1535 - وكان يوم عيد القدّيس لورنْس ـ دخل كارتييه خليجاً على الساحل الشمالي للخليج وأطلق عليه اسم خليج القدّيس لورنس. وتدريجيًا، أصبح هذا الاسم يُطلق على الخليج والنهر.

Basque whalers established their base on the Strait of Belle Isle and worked closely with the Iroquois in the Gulf of Saint Lawrence. In 1579 the English government closed all English ports to Spanish oil imports. As a result, a third of Basque whale oil could not be sold. Basque whaling collapsed in the Gulf of Saint Lawrence and never recovered. Basque whalers from Saint-Jean-de-Luz sailed into the Gulf of Saint Lawrence in 1583 and began whaling at Tadoussac.[2]

انظر أيضاً

المصادر

ملاحظات

  1. ^ "Atlantic region, Government of Canada, page 86" (PDF). publications.gc.ca. Retrieved 14 March 2018.
  2. ^ Chapdelaine, Claude (2016). Contact in the 16th Century: Networks Among Fishers, Foragers and Farmers. University of Ottawa Press. p. 65. ISBN 9780776623610.

مراجع