إعصار إيرما
هذه المقالة توثق  إعصار إستوائي  حالية. قد تتغير المعلومات سريعا حسب تغير الأحداث. ولهذا فيجري العمل على تحديث المقال بشكل متكرر. هذا لا يعكس معظم المعلومات الجارية أو الرسمية عن إعصار إستوائي من جميع الأطراف.   رجاءً، ارجع إلى مصلحة الأرصاد المحلية أو وسائل الإعلام للحصول على أحدث المعلومات حول مكان محدد.  | 
  | |||
|---|---|---|---|
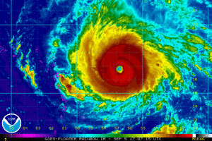
Current storm status Category 5 hurricane (1-min mean)  | |||
  | |||
| As of: | 5:00 ص. ت.أ. (09:00 ت.ع.) 7 سبتمبر | ||
| Location: | 20°00′N 68°18′W / 20.0°N 68.3°W ± 10 nm حوالي 95 ميل (155 كم) ش پونتا كانا، جمهورية الدومنيكان حوالي 210 ميل (335 كم) ESE جزر ترك الكبرى  | ||
| Sustained winds: | 155 عقدة (180 ميل/س؛ 285 كم/س) (1-min mean) gusting to 190 عقدة (220 ميل/س؛ 350 كم/س)  | ||
| Pressure: | 921 مبار (hPa; 27.20 inHg) | ||
| Movement: | WNW عند 15 عقدة (17 ميل/س؛ 28 كم/س) | ||
  | |||
إعصار إيرما Hurricane Irma هو إعصار إستوائي فائق القوة يؤثر حالياً على جزر مهب الريح وپورتو ريكو ويهدد كوبا وجنوب شرق الولايات المتحدة. وهو أقوى إعصار أطلسي منذ الإعصار ويلما في 2005 من حيث maximum sustained winds، الأكثر كثافة من حيث الضغط منذ الإعصار دين في 2007، والأول من حيث شدة الكثافة التي جعلته ليصل اليابسة في كل مكان منذ فيلكس عام 2007. إيرما أيضاً هو أول إعصار من الدرجة الخامسة يؤثر على شمال جزر مهب الريح في التاريخ. إعصار الرأس الأخضر النموذجي،[1][2][3] تطور إيرما في 30 أغسطس بالقرب من جزر الرأس الأخضر من مجرد موجة إستوائية انتقلت من الساحل الغربي الأفريقي قبل يومين. وهو عاشر عاصفة مسماة، رابع إعصار، وثاني إعصار رئيسي في موسم أعاصير الأطلسي 2017.[4][5][6]
في ظل ظروف مواتية، سرعان ما أصبح إيرما أكثر كثافة بعد تشكله، ليصبح إعصار من الدرجة الثانية في غضون 24 ساعة. أصبح إعصار من الدرجة الثالثة (ومن ثم إعصار رئيسي) بعد فترة وجيزة؛ ومع ذلك، فقد تذبذبت كثافته بشدة في الأيام التالية بسبب سلسلة من eyewall replacement cycles. في 5 سبتمبر، أصبح إيرما إعصار من الدرجة الخامسة، وبحلول الساعات الأولى من اليوم التالي، وصل إيرما إلى ذروته بسرعة رياح 185 mph (295 km/h) ومتوسط ضغط 914 mbar (914 hPa; 27.0 inHg). يجعله هذا ثاني أقوى إعصار أطلسي من حيث سرعة الرياح، بعد الإعصار آلن في 1980 والذي وصلت سرعة الرياح فيه إلى 190 mph (310 km/h). ومع ذلك، Irma sustained these 185 ميل/الرياح لمدة 34 ساعة، مما يجعله يتخطى آلن، والذي وصلت فيه سرعة الرياح إلى 180 mph (290 km/h) لمدة 18 ساعة. بالإضافة إلى ذلك، فقد أصبح إيرما أطول أعاصير الدرجة الخامسة في التاريخ.[7] إيرما هو أقول إعصار إستوائي تم تسجيله في حوض الأطلسي خارج الكاريبي وخليج المكسيك، ويرتبط مع إعصار عيد العملا 1935 كأقوى إعصار يصل اليابسة في التاريخ داخل حوض الأطلسي. فضلاً عن ذلك، الضغط المنخفض للإعصار إيرما يجعله أقوى إعصار إستوائي في العلام عام 2017.
تسبب بأضرار كارثية في بربودا، سان بارتيلمي، سان مارين، أنگويلا والجزر العذراء كإعصار من الدرجة الخامسة برياح سرعتها 185 ميل/س (295 كم/س). كان إيرما أقوى إعصار إسوائي يضرب شمال جزر مهب الريح وأحد أسوأ العواصف التي ضربت المنطقة، مع الإعصار دونا في 1960 والإعصار لويس في 1995. تسبب الإعصار في مصرع ستة أشخاص على الأقل.[8][9][10]
التاريخ الأرصادي
بدأ المركز الوطني للأعاصير بالولايات المتحدة في رصد الموجة الإستوائية القادمة من الساحل الغربي لأفريقيا في 26 أغسطس.[11] تحركت الموجة من ساحل القارة في أواخر 27 أغسطس. خلال اليومين التاليين، أصبحت الزخات والعواصف الرعدية المرتبطة بالموجة أكثر انتظاماً واندمجت تدريجياً داخل منطقة ضغط منخفض بمجرد مرورها جنوب وعبر جزر الرأس الأخضر في 29 أغسطس،[12] بإعلان المركز الوطني للأعاصير أن أي تنظيم واضح للاضطراب قد يسفر عن تصنيف للمنخفض الإستوائي.[13]
في ال24 ساعة التالية حدث المزيد من التنظيم والذي أدى إلى تصنيف الاضطراب ليصبح العاصفة الإستوائية إيرما في الساعة 15.00 بالتوقيت العالمي في 30 أغسطس، اعتماداً على بيانات مقياس التشتت والتقديرات الساتلية.[14] مع ضغط سطح البحر الدافئ وshear الرياح المنخفض، كانت زيادة قوة الإعصار متوقعة، وكان العائق الوحيد هي المياه الأبرد والهواء الأكثر جفافاً. بدأت العاصفة الوليدة تتطور upper-level poleward outflow كإعصار مضاد لتتكون فوق المنظومة، with banding features لتصبح واضحة بشكل متزايد في الصور الساتلية.[15] في الساعات الأولى من 31 أغسط، بعد فترة وجيزة من تطور central dense overcast (CDO) and an eye feature، زادة كثافة الإعصار إيرما بشكل متسارع عند بداية الساعة 09:00 بالتوقيت العالمي في 31 أغسطس، مع تسارع الرياح من 70 ميل/س (110 كم/س) إلى 115 ميل/س (185 كم/س) في أقل من 12 ساعة.[16] 
في 2 سبتمبر، عبرت سفينة بسرعة 60 ميل (90 كم) إلى الغرب من مركز إيرما، بسرعة رياح سجلت 54 ميل/س (70 كم/س)، والتي أشارت إلى أن عين إيرما ظلت مترابطة.[17][18] في 2 و3 سبتمبر، حافة استوائية قوية فوق شمال الأطلسي الأوسط دفعت بإيرما من االاتجاه الغربي إلى الجنوبي.[19][20][21][22] أول مهمة استطلاع جوية غادرت من بربادوس في عصر 3 سبتمبر، اكتشفت عين بقطر 29 mi (47 km) ورياح سطحية بسرعة 115 ميل/س (185 كم/س).[21][23]
في 5 سبتمبر.]]
في 4 سبتمبر، أصبح الإعصار إيرما أكثر قوة متحولاً لإعصار من الدرجة الرابع، بسرعة رياح 130 ميل/س (215 كم/س) في الساعة 21:00 حسب التوقيت العالمي.[24] تحت ظروف ملائمة، استمر إيرما في التوغل ليصبح إعصار من الدرجة الخامسة بحلول الساعة 11.45 حسب التوقيت العالمي في اليوم التالي، بسرعة رياح 175 ميل/س (280 كم/س)،[25] مما يجعل إيرما أكثر أعاصير الأطلسي قوة في التاريخ، متفوقاً على الإعصار ديڤد عام 1979.[26] في الساعة 15:00 حسب التوقيت العالمي أعلن المركز الوطني للأعاصير أن الاستطلاع الجوي كشف عن أن أقصى سرعة رياح مستدامة للإعصار إيرما قد بلغت 180 ميل/س (285 كم/س).[27] بحلول الساعة 00:15 حسب التوقيت العالمي في 6 سبتمبر، وصلت أقصى سرعة رياحة مستدامة للإعصار إيرما واقل ضغط إلى 185 ميل/س (295 كم/س) و 916 mbar (916 hPa; 27.0 inHg)، على التوالي، مما يجعل إيرما أعتى إعصار أطلسي منذ الإعصار ويلما عام 2005 من حيث سرعة الرياح المستدامة، وأكثر إعصار أطلسي من حيث الكثافة منذ الإعصار دين في 2007 من حيث الضغط. هناك أربع أعاصير أطلسي فقط حققت رقماً قياسياً لسرعة رياح وصلت إلى 185 ميل/س (295 كم/س) أو أكثر؛ ويلما، إعصار عيد العمال 1935، الإعصار آلن عام 1980، والإعصار گلبرت عام 1988.[28] فضلاً عن ذلك، يعتبر إيرما أقوى إعصار في خارج حوض الأطلسي للبحر الكاريبي وخليج المكسيك، في التاريخ (بالرغم من أن السجلات الحقيقية ترجع فقط لأواخر الستينيات والمرفقة بعمليات رصد ساتلي)، [29] وكانت كثافتها كتلك التي تم تسجيلها على مقاييس الشتت گوادلوپ.[30] في الساعة 11:00 مساء 6 سبتمبر، وصلت سرعة الرياح المستدامة لإيرما إلى 185 ميل/س (295 كم/س) لمدة 33 ساعة، الإعصار الوحيد عالمياً الذي وصلت رياحه إلى هذه السرعة وتلك الفترة الزمنية، محطماً الرقم القياسي السابق الذي استمرت فيه الرياح بسرعتها مدة 24 ساعة أثناء الإعصار هايان.[31]
في الساعة 6:00 حسب التوقيت العالمي في 6 سبتمبر، وصل مركز إيرما إلى الساحل الشمالي لبربودا في ذروة قوته.[32][33][34] أدى هذا إلى اعتبار إيرما ثالث أقوى إعصار إستوائي يصل اليابسة عالمياً من حيث الرياح المستدامة؛ مروراً بإعصار عيد العمال 1935 والإعصار جوان عام 1959، trailing only تايفونات مرتاني عام 2016 وهايان عام 2013، والذان وصلت سرعة الرياح بهما إلى 190 mph (310 km/h) عند وصولهما اليابسة. كذلك يعتبر الإعصار الأقوى منذ إعصار 1935 من حيث قوة وصوله لليابسة في حوض الأطلسي منذ بدء الأرقام المسجلة للأعاصير عام 1851.[35] محافظاً على سرعته، وصل إيرما اليابسة بنجاح عند حوالي الساعة 12:00 بالتوقيت العالمي عند سان مارتن والساعة 17:00 بالتوقيت العالمي عند جزيرة جنجر وتورتولا في الجزر العذراء البريطانية.[34] 
المعلومات الحالية عن الإعصار
المشاهدات والتحذيرات
| تحذير إعصار أحوال إعصار متوقع في غضون 36 ساعة.  | 
  | 
| ترقب إعصار أحوال إعصار محتمل في غضون 48 ساعة.  | 
  | 
| تحذير عاصفة مدارية أحوال عاصفة مدارية متوقعة في غضون 36 ساعة.  | 
  | 
الاستعدادات
الكاريبي
البر الرئيسي للولايات المتحدة
الوقع
انظر أيضاً
- قائمة أعاصير الأطلسي من الدرجة الخامسة
 - الإعصار ماثيو (2016) - تسبب في اضرار ووفيات في هايتي، قبل انتقاله إلى الباهاما ثم ضربه الشريط الساحلي لفلوريدأ، قبل أن ينتقل إلى الساحل.
 - الإعصار هوگو (1989) - العاصفة الأخرى الوحيدة المعروفة والتي وصلت إلى قوة الدرجة الخامسة على شرق جزر مهب الريح.
 - الإعصار إيرل (2010) – الرأس الأخضر -نوع الإعصار الذي أثر على شمال جزر مهب الريح كأعصار يتزايد عنفوانه
 - الإعصار لويس (1995) – إعصار بالغ الضرر والقوة والذي تسبب في تأثيرات خطيرة في شمال الأنيل الصغرى.
 - الإعصار مارلين (1995) - تسبب في الدمار بسبب تصاعد قوته بشكل متسارع في شمال جزر مهب الريح، والتي كانت قد تأثرت بفعل الإعصار لويس قبل وقت قصير.
 - الإعصار دونا (1960) - ضرب الأنتيل الصغرى، قبل أن يضرب مداخل فلوريدا في أوائل سبتمبر بكثافة من الدرجة الرابعة وتحرك صعوداً إلى الساحل الشرقي للولايات المتحدة.
 
الهامش
- ^ Angela Chen (September 1, 2017). "Harvey's not over, but Hurricane Irma is now headed toward the East Coast". The Verge. Retrieved September 4, 2017.
 - ^ Brandon Miller (September 2, 2017). "Powerful Hurricane Irma could be next weather disaster". CNN. Retrieved September 2, 2017.
 - ^ Rob Gutro (August 30, 2017). "GPM satellite sees Tropical Storm Irma forming near Cape Verde Islands". Phys.org. Retrieved September 4, 2017.
 - ^ McNoldy, Brian (August 30, 2017). "Tropical Storm Irma forms in Atlantic, and we're still watching Gulf of Mexico early next week". The Washington Post (in الإنجليزية الأمريكية). ISSN 0190-8286. Retrieved September 6, 2017. 
{{cite news}}: Cite has empty unknown parameter:|dead-url=(help) - ^ Reuters (September 1, 2017). "Hurricane Irma intensifies over the Atlantic". Retrieved September 6, 2017. 
{{cite web}}:|last=has generic name (help); Cite has empty unknown parameter:|dead-url=(help) - ^ Koren, Marina (August 31, 2017). "Hurricane Irma Just Hit Category 3". The Atlantic (in الإنجليزية الأمريكية). Retrieved September 6, 2017. 
{{cite news}}: Cite has empty unknown parameter:|dead-url=(help) - ^ "Hurricane Irma has just broken another terrifying record". The Independent (in الإنجليزية البريطانية). September 6, 2017. Retrieved September 6, 2017. 
{{cite news}}: Cite has empty unknown parameter:|dead-url=(help) - ^ Millar, Joey (2017-09-06). "Hurricane Irma: Three dead as Caribbean islands battered in 'hard and cruel' conditions". Express.co.uk (in الإنجليزية). Retrieved 2017-09-06.
 - ^ "Young surfer's death comes as a shock". Barbados Today. September 5, 2017. Retrieved September 5, 2017.
 - ^ خطأ استشهاد: وسم 
<ref>غير صحيح؛ لا نص تم توفيره للمراجع المسماةPuerto Rico deaths - ^ Eric S. Blake (August 26, 2017). "Graphical· Tropical Weather Outlook". Miami, Florida: National Hurricane Center. Retrieved August 30, 2017.
 - ^ Eric S. Blake (August 29, 2017). "Graphical Tropical Weather Outlook". Miami, Florida: National Hurricane Center. Retrieved September 4, 2017.
 - ^ Eric S. Blake (August 29, 2017). "Graphical Tropical Weather Outlook". Miami, Florida: National Hurricane Center. Retrieved September 4, 2017.
 - ^ Eric S. Blake (August 30, 2017). Tropical Storm Irma Public Advisory Number 1. Miami, Florida: National Hurricane Center. Archived from the original. You must specify the date the archive was made using the 
|archivedate=parameter. http://www.nhc.noaa.gov/archive/2017/al11/al112017.public.001.shtml. Retrieved on August 30, 2017. - ^ Christopher Landsea (August 30, 2017). Tropical Storm Irma Discussion Number 2. Miami, Florida: National Hurricane Center. Archived from the original. You must specify the date the archive was made using the 
|archivedate=parameter. http://www.nhc.noaa.gov/archive/2017/al11/al112017.discus.002.shtml?. Retrieved on September 5, 2017. - ^ Eric S. Blake (August 31, 2017). Hurricane Irma Public Advisory Number 6. Miami, Florida: National Hurricane Center. Archived from the original. You must specify the date the archive was made using the 
|archivedate=parameter. http://www.nhc.noaa.gov/archive/2017/al11/al112017.public.006.shtml?. Retrieved on August 31, 2017. - ^ John P. Cangialosi (September 2, 2017). "Hurricane Irma Discussion Number 12". National Hurricane Center. Retrieved September 5, 2017.
 - ^ "Ship Status Report: callsign BATFR17". sailwx.info. Mobile Geographics LLC. September 5, 2017. Archived from the original on September 5, 2017. Retrieved September 5, 2017. 
{{cite web}}: Unknown parameter|deadurl=ignored (|url-status=suggested) (help) - ^ Lixion A. Avila (September 2, 2017). "Hurricane Irma Discussion Number 15". National Hurricane Center. Retrieved September 5, 2017.
 - ^ Robbie J. Berg (September 3, 2017). "Hurricane Irma Discussion Number  16". National Hurricane Center. 
{{cite web}}:|access-date=requires|url=(help); Missing or empty|url=(help) - ^ أ ب Daniel P. Brown (September 3, 2017). "Hurricane Irma Discussion Number 17". National Hurricane Center. Retrieved September 5, 2017.
 - ^ Robbie J. Berg (September 4, 2017). "Hurricane Irma Discussion Number 20". National Hurricane Center. Retrieved September 5, 2017.
 - ^ Richard J. Pasch (September 3, 2017). "Hurricane Irma Discussion Number 19". National Hurricane Center. Retrieved September 5, 2017.
 - ^ Daniel P. Brown (September 4, 2017). "Hurricane Irma Advisory Number 22". National Hurricane Center. Retrieved September 5, 2017.
 - ^ Daniel Brown; Chris Landsea (September 5, 2017). Hurricane Irma Tropical Cyclone Update. Miami, Florida: National Hurricane Center. Archived from the original. You must specify the date the archive was made using the 
|archivedate=parameter. http://www.nhc.noaa.gov/archive/2017/al11/al112017.update.09051146.shtml. Retrieved on September 5, 2017. - ^ Klotzbach, Philip [@philklotzbach] (September 5, 2017). "#Irma is the furthest east in Atlantic that we've had a 175 mph hurricane on record (57.7°W). Previous record: David-1979 (66.2°W)" (Tweet). Retrieved September 5, 2017 – via Twitter. 
{{cite web}}: Cite has empty unknown parameter:|dead-url=(help) - ^ Daniel P. Brown (September 5, 2017). "Hurricane Irma Advisory Number 26". National Hurricane Center. Retrieved September 5, 2017.
 - ^ Klotzbach, Philip [@philklotzbach] (September 5, 2017). "#Irma now has winds of 185 mph - tied w/ FL Keys (1935), Gilbert & Wilma for 2nd strongest Atlantic winds on record. Allen is #1 at 190 mph" (Tweet). Retrieved September 5, 2017 – via Twitter. 
{{cite web}}: Cite has empty unknown parameter:|dead-url=(help) - ^ Daniel P. Brown (September 5, 2017). "Hurricane Irma Discussion Number 26". National Hurricane Center. Retrieved September 5, 2017.
 - ^ Wilts, Alexandra (September 5, 2017). "Hurricane Irma has become so strong it's showing up on seismometers used to measure earthquakes: Florida, Puerto Rico and the US Virgin Islands have declared states of emergency". Independent. Retrieved September 5, 2017.
 - ^ "Hurricane Irma Meteorological Records/Notable Facts Recap (through September 6 at 11pm EDT)" (PDF).
 - ^ "Hurricane Irma: Category 5 Storm Leaves Damage in Barbuda". The New York Times. Retrieved 6 September 2017.
 - ^ "Monster Hurricane Irma Makes Landfall On Barbuda In Caribbean". NDTV. Agence France-Presse. Retrieved 6 September 2017.
 - ^ أ ب "Irma Threatens the Virgin Islands, Puerto Rico Wednesday into Early Thursday". The Weather Channel. Retrieved 6 September 2017.
 - ^ Henson, Bob (6 September 2017). "Category 5 Irma Hits Leeward Islands at Peak Strength". Weather Underground. Retrieved 6 September 2017.
 - ^ "Hurricane Irma Strengthens: Natural Hazards". earthobservatory.nasa.gov. September 5, 2017.
 
وصلات خارجية
- CS1 الإنجليزية الأمريكية-language sources (en-us)
 - CS1 errors: generic name
 - CS1 الإنجليزية البريطانية-language sources (en-gb)
 - CS1 errors: unsupported parameter
 - CS1 errors: requires URL
 - CS1 errors: access-date without URL
 - أحداث جارية from September 2017
 - Pages using gadget WikiMiniAtlas
 - Pages with empty portal template
 - Incomplete hurricane infoboxes
 - عقد 2010 في ميامي
 - موسم أعاصير الأطلسي 2017
 - 2017 في كوبا
 - 2017 في فلوريدا
 - 2017 في أنگويلا
 - 2017 في أنتيگا وبربودا
 - أنتيگا وبربودا في سانت مارتن
 - 2017 في سان برتيلمي
 - 2017 في گوادلوپ
 - 2017 في پورتو ريكو
 - 2017 في الجزر العذراء الأمريكية
 - أعاصير في جزر مهب الريح
 - كوارث طبيعية في جزر مهب الريح
 - أعاصير في گوادلوپ
 - اعاصير في أنتيگا وبربودا
 - أعاصير في مونتسرات
 - أعاصير في سانت كيتس ونڤيس
 - أعاصير في سانت أوستاتيوس
 - أعاصير في سانت برتيلمي
 - أعاصير في أنگويلا
 - أعاصير في الجزر العذراء البريطانية
 - أعاصير في الجزر العذراء الأمريكية
 - كوارث طبيعية في 2017 في الولايات المتحدة
 - أعاصير الرأس الأخضر
 - أعاصير أطلسية من الدرجة الخامسة
 - أعاصير في فلوريدا
 - أحداث سبتمبر 2017 في أمريكا الشمالية
 - أحداث سبتمبر 2017 في الولايات المتحدة